Аренда имущественного комплекса во Фрунзенском районе, на ул. Салова 42 к1
Ближайшие станции метро Бухарестская, Волковская.
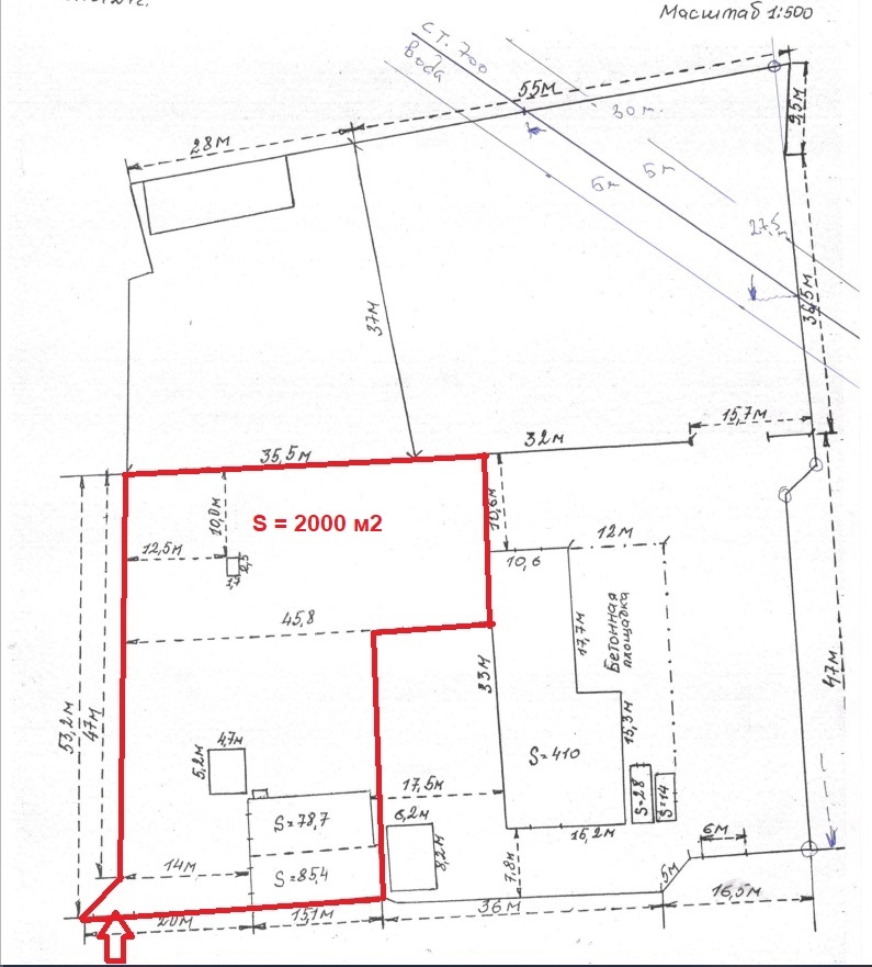
1.Аренда земельного участка 2000 м2, отдельный въезд на территорию.
Покрытие: песчано-гравийная смесь.
2. Кирпичные боксы 2 шт. 160 м2 Высота 2м. ( Холодные , возможно отопить)
3. Два наавеса для открытого хранения.
Электрическая мощность 40 кВт.
Стоимость аренды 350 000 рублей в месяц.
Собственность юридического лица.
Обновлен: 12/03/2026
Код объекта: 7926
